
Description
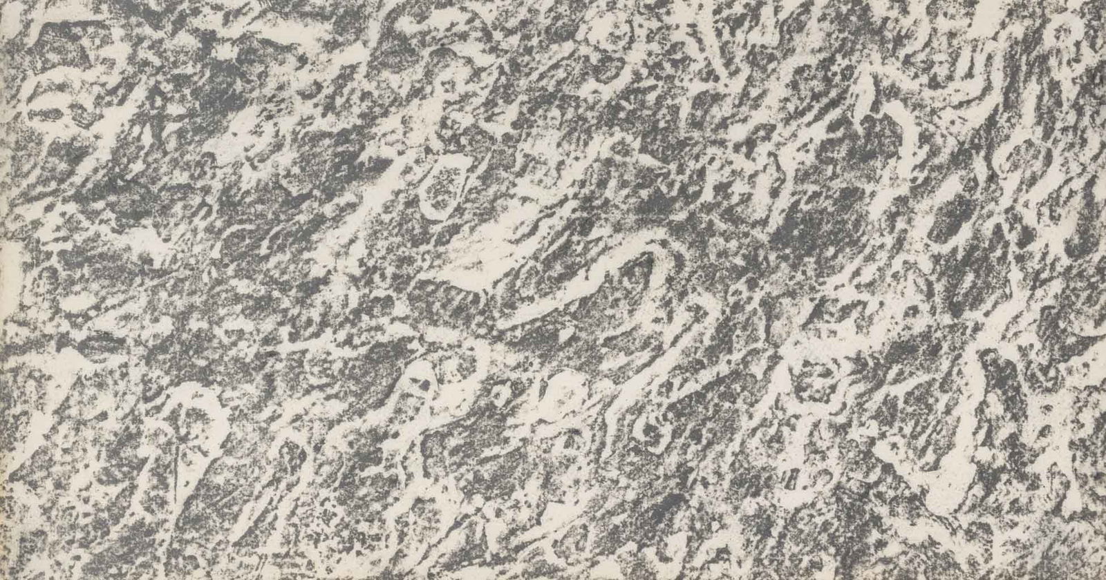
Dove Bradshaw (American, b. 1949), Untitled (Abstract Composition), Graphite on Paper, 1990, signed and dated verso, signed, inscribed, and with Christie's label to reverse, wood frame. Image: 10.25" H x 19" W; frame: 17.5" H x 26.5" W x 1.5" D. Provenance: Acquired directly from the artist. From the Collection of John Cage and Merce Cunningham. Christie's, New York, 11 November 2009, Lot 180. From a New York City Collection. Keywords: Drawing, Works on Paper, Pencil drawing, Abstraction, Abstract composition, Monochromatic, Women Artists, Post-War and Contemporary Art, 20th Century Art
Condition
Minor creasing to the edges. This condition report is provided as a courtesy to assist potential bidders and is a matter of opinion, not a statement of fact, and should not be considered a substitute for professional advice. Bidders are strongly encouraged to conduct their own due diligence regarding the condition of the lot. The absence of a condition report does not imply that there are no condition issues with the lot. Our assessment is based on visual inspection. Unless specifically noted, items have not been examined under UV light. Similarly, timepiece movements, lighting, and electrical components have not been tested. Artworks are typically not examined out of their frames unless otherwise stated. While we strive to provide accurate information, Auctions at Showplace is not a professional conservator or restorer. Therefore, this report should not be interpreted as a comprehensive description of the lot's condition. The provided images form part of this condition report and should be carefully reviewed. All sales are final. Please call us at 212-633-6063 X 808 or email us at auctions@nyshowplace.com to make an appointment for in-person inspection.
Buyer's Premium
28%
Dove Bradshaw Abstract Composition Graphite, 1990
Estimate $1,000-$2,000
Starting Price
$100
$100
$150
$200
8 bidders are watching this item
Get approved to bid.
LiveAuctioneers Purchase Protection
Vetted auction houses
Secure, online bidding
Returns guaranteed for misrepresented listings
Dedicated support when you need it
New York City Estate Auction, April 30
Apr 30, 2026 11:00 AM EDTAstoria, NY, United States
TOP
































